社造知識雲Knowledge cloud.
年度2012 縣市高雄市
提案單位高雄市海洋之星社會服務協會
提案名稱那些年我們一起種的籽
成長故事
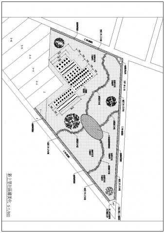
本次選在新上里新中街及天祥二路6巷口,與里長聊後了解以前這個村莊大多人是以種田為主,現在要找到一塊土地可以規劃下去種田是非常困難的,因為這裡已經都市化了!房屋地價越來越高,人口越來越集中,現在有塊空地,如果能夠回到那些年我們一起種的籽那種感覺,規劃這塊約500坪的土地,里民們一同來種下菜、果籽,來澆水施肥整理除草,讓老幼婦孺再次有下田的經驗,吃到自己種的菜、果。想像那種幸福的滋味,這是我辛苦一點一滴種出來的果。一來可以老幼婦孺一同體驗,又可以使得環境髒亂的空地減少,達到里內節能减碳永續發展的效果





信義房屋